Mayfair Community Association Board of Directors rejects its homeowners’ petition

By Lloyd Harting

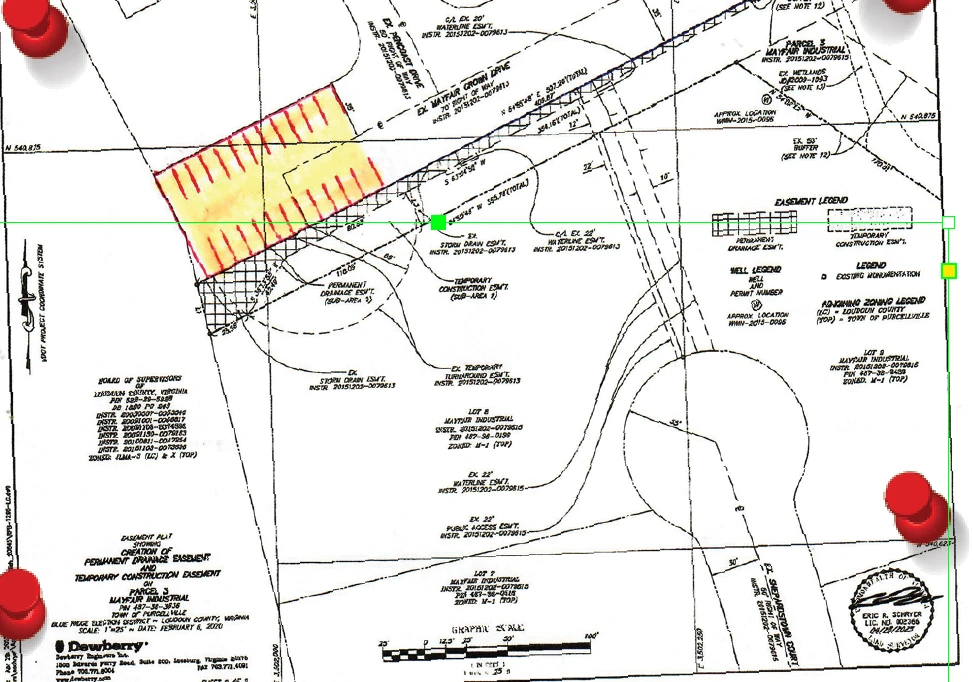
At the Mayfair Community Association Board of Directors meeting on Oct. 21, the Mayfair Community Association Board of Directors voted against a signed petition submitted by Mayfair homeowners. The petition asked the Board of Directors to send a letter to the Purcellville Town Council requesting that the Town legally terminate its existing right-of-way street/road easement on the remaining parcel of land at the western end of Mayfair Crown Drive—which is approximately 7,000 square feet—and belongs to the Mayfair Community Association. This would enable the Mayfair Community Association to build a visitor parking lot on the land.

The Board of Directors supported its decision citing several reasons why it believed that the petition was not realistic or feasible. They said the Town Council would not give up the easement—but no one can predict how the Town Council will vote.

They said the Town Council would not permit Mayfair to build anything on the land—but did not provide any evidence to support that opinion. They stated that a structure on the land would interfere with other existing easements—but the only existing easements are a Loudoun County underground water drainage easement and a Town of Purcellville school bus three-point turnaround easement at the end of Mayfair Crown Drive that would not be affected by any future structure built on the surface.

Also, the Board said that no evidence had been provided to them that the Mayfair Community Association owned the parcel of land. However, the Board of Directors was notified by email on Sept. 30 that that a recent property search conducted by the Potomac Title Group reported that the parcel of land is recorded in the name of the Mayfair Community Association in Deed of Dedication, Subdivision, Easement and Conveyance Instrument number 20151202-0079613 at the Loudoun County Land Records Recording Division. Additionally, they stated that the parcel of land belongs to the adjoining Mayfair Industrial Park—which the title search proves to be false.

Termination of the remaining easement would enable the Mayfair Community Association to legally take unencumbered control of its land which could then be used to construct a visitor parking lot for the benefit of the Mayfair townhouse residents where on-street parking is prohibited and parking violations are enforced. The visitor parking lot concept drawing shows 24 additional parking spaces.

Furthermore, removing the encumbrance of the easement and building a parking lot on that parcel of land would make it more difficult to build the proposed Northern Collector Road which is planned to stretch from Hillsboro Road to Berlin Turnpike through Mayfair Crown Drive. If the Northern Collector Road passes through the Mayfair community, it would turn Mayfair Crown Drive into a thoroughfare for school, commuter and commercial truck traffic.

During the months of September and October 2024, a total of 82 Mayfair households were contacted to sign a petition asking the Board of Directors to send a letter to the Purcellville Town Council requesting that they terminate the easement. Of those 82 households, which is 31% of all Mayfair households, 64 homeowners signed the petition. This is 78% of the Mayfair households that were contacted. Eight homeowners did not sign the petition, which is 10% of the Mayfair households that were contacted. And ten households were occupied by renters who were not authorized to sign the petition, which is 12% of the Mayfair households that were contacted.

At the Purcellville Town Council candidates’ impromptu forum held at the Bush Tabernacle on Monday, Oct. 7, the candidates on Mayor Milan’s slate were asked the following question: “The Town of Purcellville has an unexercised easement on undeveloped land at the western end of Mayfair Crown Drive for the purpose of constructing an extension of Mayfair Crown Drive in the future. If the Purcellville Town Council is asked to terminate the easement, would you vote to terminate the easement, would you vote to not terminate the easement, or would you abstain from voting?”

The only candidate who responded to the question was Purcellville Town Council Member and current candidate for reelection Caleb Stought, who is also a Mayfair homeowner.  He answered the question saying that Mayfair Crown Drive is not going through therefore “the easement is null and void.”

However, the permanent legal easement is not null and void and remains viable in perpetuity unless it is legally terminated by the Purcellville Town Council, and that termination is properly documented in the respective land property records at the Loudoun County Land Records Recording Division.

The Purcellville Town Council can terminate the remaining easement with a council vote. Similarly, the Purcellville Town Council can remove reference to the Northern Collector Road from the Town of Purcellville Transportation Plan the same way.

To date, Purcellville Town Council Member Caleb Stought has voted twice against motions presented by Purcellville Town Council Member Christopher Bertaut, who is running for Purcellville Mayor, to remove the Northern Collector Road from the Town’s Transportation Plan. Mayor Stan Milan is running for reelection, and Council Member Kevin Wright is also running for reelection. Both Milan and Wright voted against removing the Northern Collector Road from the Town Transportation Plan.

So for now, the idea of building a visitor parking lot for the residents of the Mayfair community will not move forward. However, termination of the easement could be considered by the Purcellville Town Council in the future based on Mayfair community residents’ direct input to the Town Council. 

Lloyd Harting is a retired U.S. military officer, retired U.S. government civilian employee, and former U.S. government contractor employee. He is a resident of Mayfair.

Comments

Any name-calling and profanity will be taken off. The webmaster reserves the right to remove any offensive posts.